Справка документа
Источник публикации
Официальный интернет-портал правовой информации http://www.pravo.gov.ru, 20.07.2020
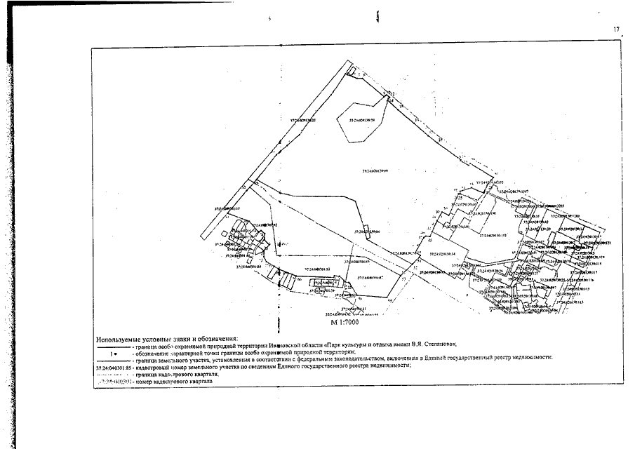
Постановление Правительства Ивановской области от 20.07.2020 N 336-п "О внесении изменений в постановление Правительства Ивановской области от 30.10.2015 N 505-п "О парке культуры и отдыха Ивановской области "Парк культуры и отдыха имени В.Я. Степанова"
Скачать:
PDF (2 Мб)
Страница 17 из 59