Справка документа
Источник публикации
Документ опубликован не был
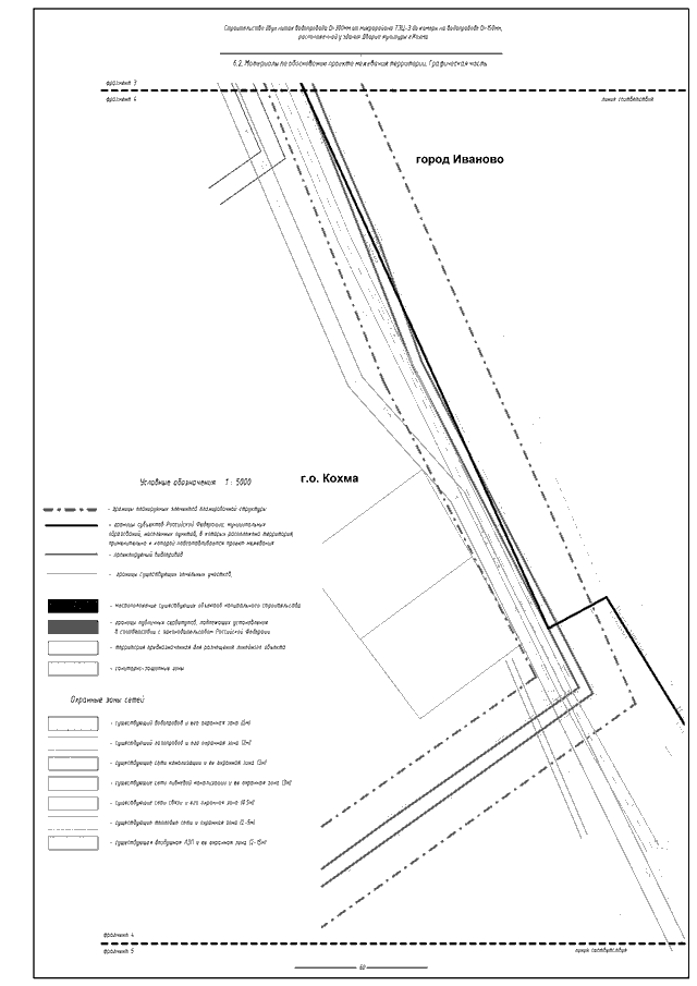
Распоряжение Правительства Ивановской области от 18.08.2023 N 138-рп "О внесении изменений в распоряжение Правительства Ивановской области от 25.06.2019 N 98-рп "Об утверждении проекта планировки и проекта межевания территории, предназначенной для строительства двух ниток водопровода D = 300 мм от микрорайона ТЭЦ-3 до камеры на водопроводе D = 150 мм, расположенной у здания Дворца культуры г. Кохма"
Скачать:
PDF (17 Мб)
Страница 80 из 84