Справка документа
Источник публикации
Документ опубликован не был
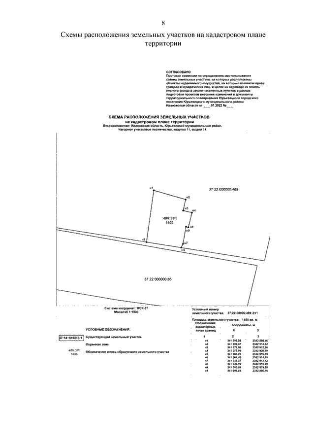
Распоряжение Правительства Ивановской области от 12.04.2023 N 62-рп "Об утверждении предложений комиссии, созданной Администрацией Юрьевецкого муниципального района Ивановской области, в соответствии с частью 20 статьи 24 Градостроительного кодекса Российской Федерации, в целях определения местоположения границ земельных участков, на которых расположены объекты недвижимого имущества, на которые возникли права граждан и юридических лиц, в целях их перевода из земель лесного фонда в земли населенных пунктов"
Скачать:
PDF (998 Кб)
Страница 8 из 13