Справка документа
Источник публикации
Официальный интернет-портал правовой информации http://pravo.gov.ru, 19.08.2022
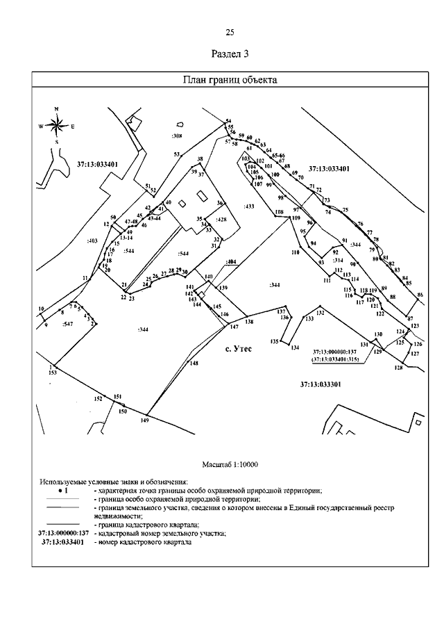
Постановление Правительства Ивановской области от 18.08.2022 N 455-п "О памятнике природы Ивановской области "Территория бывшего дома отдыха "Порошино" (вместе с "Паспортом памятника природы Ивановской области "Территория бывшего дома отдыха "Порошино")
Скачать:
PDF (3 Мб)
Страница 25 из 53