Справка документа
Источник публикации
Документ опубликован не был
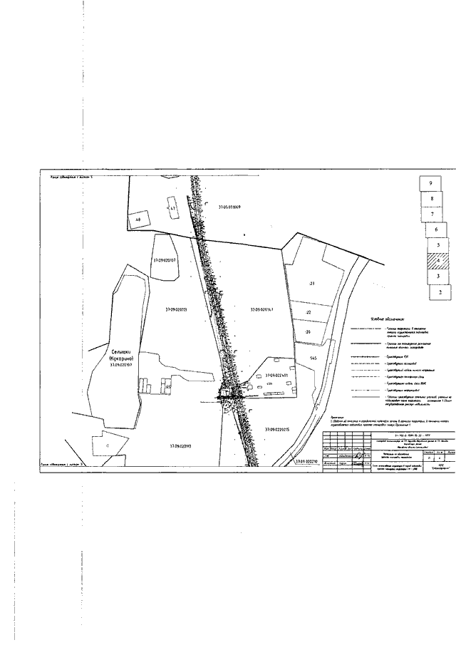
Распоряжение Правительства Ивановской области от 10.07.2018 N 80-рп "Об утверждении проекта планировки и проекта межевания территории под размещение линейного объекта - "Газопровод межпоселковый от ГРС Круглово Ивановского района до ГРС Лежнево Лежневского района Ивановской области (закольцовка)"
Скачать:
PDF (4 Мб)
Страница 74 из 104